釣日記 無念です  2009年5月3日
 参加者  大漁灘の主様、ドライバー様  
 ご飯  オキアミ 2枚。   
 時間  AM 7:00 〜 PM 0:00   
 ポイント  御浜 沖
 
 
  
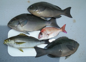
    今回はイサキ、狙いで出港します。風が少し出ていますが釣には大丈夫です。
  ポイント付近にはボートが3隻しか いません。 今日はお土産がないかも。
 本日は忘れた頃に魚が釣れます 棚も何処で釣れるか 不明です
  10時半頃 南の風が強くなり 釣辛い状態になり 早めに 戻ります
         
  
               釣記録へ戻る